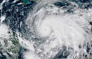
Al menos siete personas han muerto y decenas han resultado heridas en Jamaica mientras las autoridades y la población se preparan para recibir el impacto del huracán de categoría 5 bautizado como ‘Melissa’, que tocará tierra este martes, 28 de octubre, con vientos de casi 280 kilómetros por hora. Así … Sigue leyendo Al menos siete muertos en Jamaica mientras el país se prepara para el huracán de categoría 5 ‘Melissa’
Copia y pega esta URL en tu sitio WordPress para incrustarlo
Copia y pega este código en tu sitio para incrustarlo